11月2日拍卖广西田阳县A18-2地块上(广投·银海小区)两间商铺
拍 卖 公 告
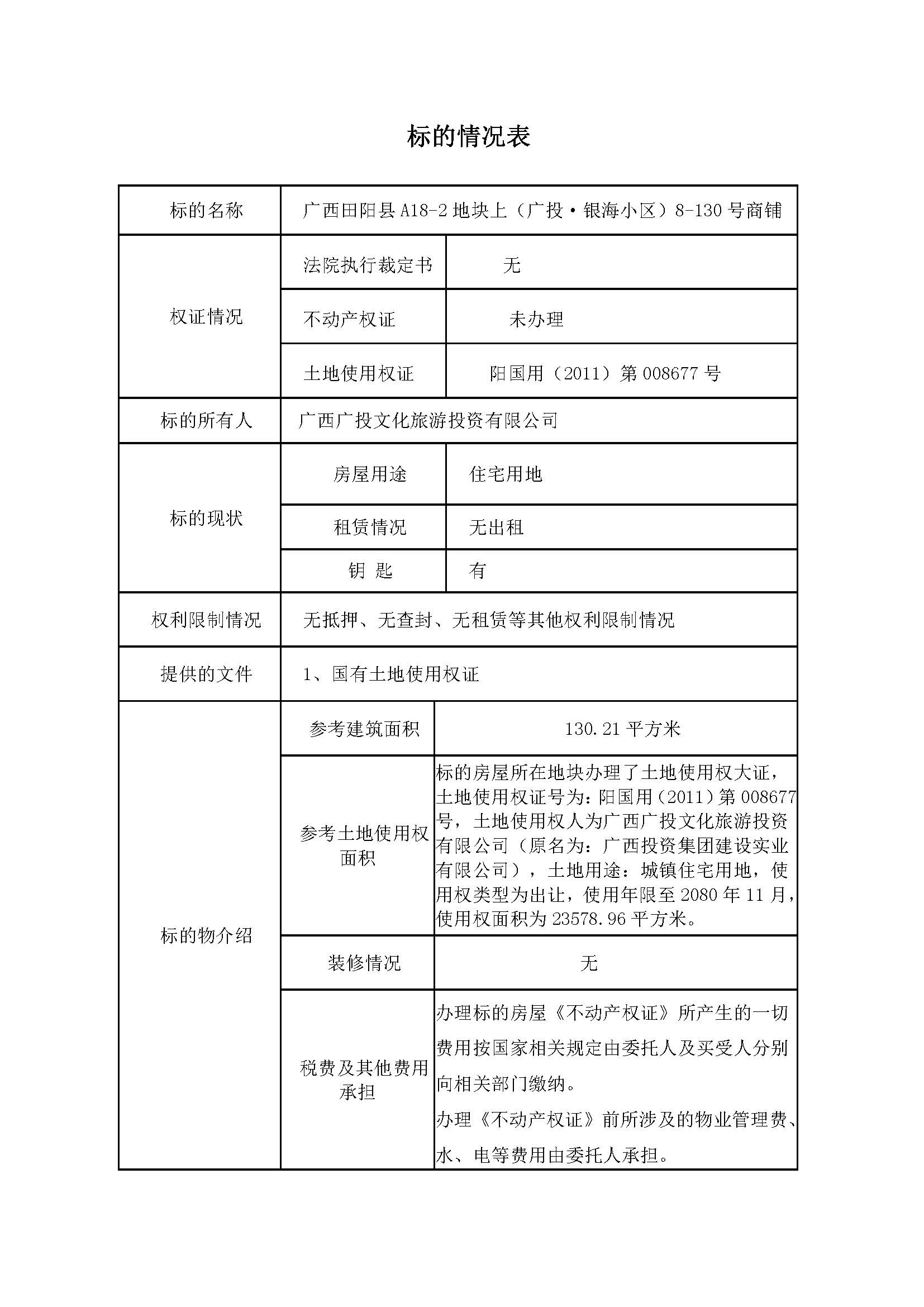
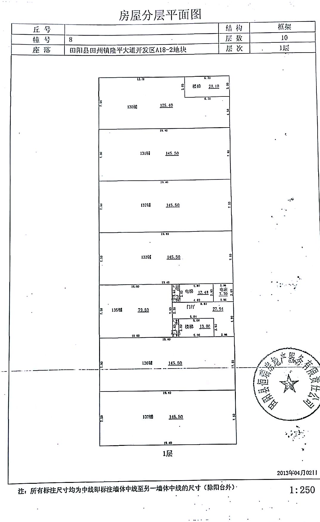
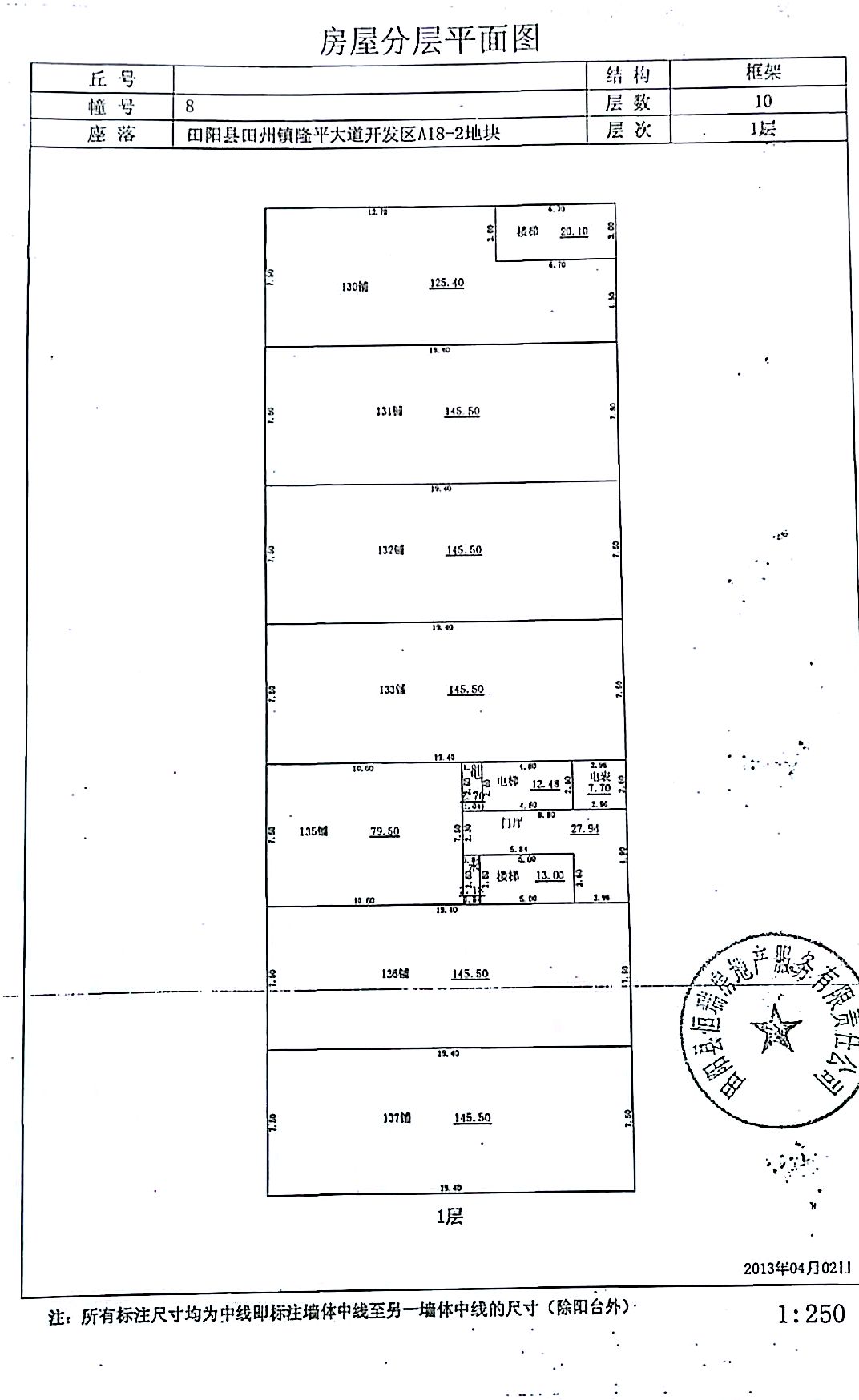
受委托,我公司将在阿里拍卖资产处置平台上(网址:http://zc.paimai.taobao.com)举行网络拍卖会,公开拍卖:广西田阳县田州镇隆平大道开发区A18-2地块上(广西百色银海发电有限公司田阳生活区,即广投·银海小区)8-130号、8-133号两间商铺房屋,按商铺单独拍卖。其中,8-130号商铺建筑面积为130.21平方米,参考价65.9万元。8-133号商铺建筑面积为151.08平方米,参考价74.2万元。
单间标的竞买保证金:25万元。
一、拍卖时间
自由竞价时间:2018年11月02日10时—11月03日10时;设置延时出价功能,在拍卖活动结束前,每最后5分钟内如果有竞买人出价,就自动延迟至5分钟。
二、展示时间:2018年10月31日-11月01日。请有意者与我公司联系。
三、展示地点:标的所在地。
拍卖标的以现场展示为准,竞买人务必现场查看标的、了解标的情况。
四、竞买报名:竞买人应于拍卖会前在阿里拍卖资产处置平台和支付宝上进行实名登记注册,注册成功后请按平台和支付宝的提示进行操作。凡参加竞拍的竞买人按淘宝系统提示报名缴纳保证金。
五、竞买人务必在本次拍卖平台上详细查看本次拍卖的《竞买须知》及相关信息。
六、联系电话:0771-5882105 0771-5882125
阿里技术咨询:400-822-2870。
广西北海地产拍卖行有限公司
2018年10月26日
8-130号商铺标的展示:






8-133号商铺标的展示:




